Súbete a la bici en la Semana Europea de la Movilidad

18 Septiembre 2015
Con motivo de la celebración de la Semana Europea de la Movilidad, este fin de semana las calles de algunas localidades madrileñas como Boadilla del Monte o la capital se llenarán de bicicletas y monopatines. Así que si eres un amante del transporte sostenible, del ejercicio o de la preservación del medio ambiente, no puedes perderte las actividades programadas.

Desde Metro Ligero Oeste os animamos a que quitéis el polvo a vuestra vieja bicicleta, hinchéis sus ruedas y comencéis el otoño con dos buenos propósitos: hacer ejercicio y promover el transporte sostenible.

Y si lo vuestro no es el ejercicio, tampoco hay excusa para no participar porque hay actividades programadas para todos los gustos. En Boadilla del Monte, el Ayuntamiento ha preparado un fin de semana cargado de actividades, exposiciones, rutas y talleres para grandes y pequeños.

Si las bicicletas son vuestra afición, este fin de semana estáis de enhorabuena porque habrá  talleres de BMX,  actividades orientadas a acercar esta modalidad del ciclismo a los más jóvenes, así como cursos de orientación.

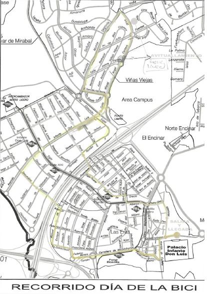
Recorrido dia de la bici_MLO

 

El sábado, se celebrará una ruta nocturna en bicicleta “Conoce tu monte”, una ruta guiada para descubrir pedaleando el anochecer en el monte. Pero, si estáis en la capital, os recomendamos asistir a las  rutas ciclistas organizadas Ciclovía Prado y Ciclovía Recoletos. ¿Por qué? Porque estas rutas dan la posibilidad de recorrer las calzadas centrales del paseo de Recoletos y la calzada este del Prado desde la Plaza de Colón en Neptuno sin ningún vehículo. Así que, cámara en mano (si no vais en bici) y fotografiar un hito, ver el centro de Madrid sin coches.

 

 

Para cerrar un fin de semana sostenible el próximo domingo 20 de septiembre, se celebrará a lo largo de la mañana el Día de la Bicicleta con un recorrido por toda la localidad. ¡Animáos!

Desde Metro Ligero Oeste os animamos a disfrutar y recorrer las rutas verdes de la Comunidad; como por ejemplo la ruta del Parque Forestal Adolfo Suarez-Casa de Campo (Pozuelo de Alarcón) o la ruta de la Casa de Campo. Puedes llegar a ambas rutas desde Metro Ligero Oeste, recorrer sus caminos, montar tu bici, y aparcarla en los diferentes aparcabicis existentes en las paradas de MLO .

Si queréis saber más sobre la Semana de la Movilidad Europea, visita la página web del Ayuntamiento de Boadilla del Monte.

 

Noticias relacionadas

TOP